Tiene niveles récord, advierten expertos
Ante los riesgos que representa para la salud
En una operación contra terrorismo
Con riesgo de aniquilamiento
90 pacientes tuvieron que ser transferidos
Medida afectará principalmente a centroamericanos
A 18 años de los atentados en Nueva York
Se está construyendo de forma expedita, dice
Para corregirle una hernia incisional
Lo confirman en sus redes sociales oficiales
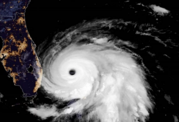
Las Bahamas fueron devastadas por el huracán
Continúa la búsqueda de víctimas
Es considerado con peligro mortal
El ciclón se mantiene estacionario
Sin empleo, tres millones 65 mil 804 personas
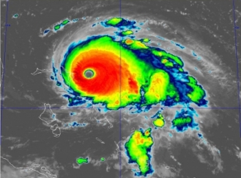
Es la tormenta más fuerte en el planeta este año
Amenaza a cinco estados de EUA
Denuncian abogados y organizaciones en EUA
Utiliza datos e imágenes desde el espacio